“Busem przez polskie ogrody” to – jak zapewne już wiesz – duży projekt realizowany na blogu “Z ogrodem na TY”, który z racji swojej popularności kontynuowany jest już 8 rok. Tak, tak, dobrze napisałem. 8 rok! To naprawdę mnóstwo czasu, ogrodowych przygód, tysiące kilometrów i tyle samo przywiezionych pomysłów i inspiracji. A dowód? Anielskie ogrody – ekologiczne i permakulturowe gospodarstwo, w którym słowo uprawa w zgodzie z naturą nabiera całkiem nowego znaczenia.





@zogrodemnaty ANIELSKIE OGRODY – miejsce w duchu ekologii i permakultury- to 16 przystanek w 8 sezonie projektu Busem przez polskie ogrody 🚘. #ekologia #permakultura #warzywa #ogród #zdrowie #inspiracjeogrodowe #anielskieogrody #warzywnik #szklarnia #owoce #zrobtosam #ogrody #ekologicznyogród #glamping
Dla porządku dodam, że głównym założeniem projektu jest cykl wizyt w ogrodach, czego efektem są pełne inspiracji posty i filmy. Natomiast ideą projektu jest propagowanie świadomego i pełnego pasji ogrodnictwa, ale równie istotne jest ukazanie, jak wiele radości może dać gospodarowanie przydomową przestrzenią. Ponadto zaprezentowanie najciekawszych rozwiązań w zakresie dekoracji, architektury ogrodowej i nasadzeń roślinnych. Projekt ma jednocześnie edukować, bawić i motywować Czytelników bloga do świadomej i wzmożonej troski o własne ogrody.
A zatem to ogólne założenia, które kontynuuję już 8 rok. Natomiast jak wspomniałem, jednymi z działań są “pełne inspiracji posty”, czyli posty na blogu pokazujące odwiedzone ogrody i relacjonujące wizyty, które odbywam, odwiedzając przepiękne miejsca i spotykając się z ciekawymi ludźmi. Nie sposób tego wszystkiego nawet zapamiętać, ale możesz mi wierzyć, że były to już setki spotkań i ciekawych miejsc, które możesz zobaczyć w tym miejscu.
Tymczasem zapraszam na szesnastą w sezonie 2025 relację, z kolejnego odwiedzonego ogrodu w projekcie “Busem przez polskie ogrody”, szesnastego w sezonie 8 – 2025.
.
Ogród 16 – Anielskie ogrody
Jak już stało się tradycją i wiesz pewnie z poprzednich relacji, każdy z odwiedzonych ogrodów staram się na wstępie jakoś nazwać i zatytułować. Tak, aby na początku nastawić Cię na to, czego możesz się po nim spodziewać. Innymi słowy, staram się znaleźć jakąś główną cechę danego miejsca, która zdecydowanie odróżnia go od pozostałych, a zarazem jest powodem, dla którego zdecydowałem się go odwiedzić. I tak jest również w tym przypadku. A wyróżnikiem tego miejsca jest fakt, że pod nieco mylącą nazwą „Anielskie ogrody”, kryją się niezwykłe ogrody, w których rośliny ozdobne pięknie komponują się z tymi użytkowymi.



A to wszystko uprawiane jest w całkowitej zgodzie z naturą, w duchu ekologii i permakultury. Ziemia i procesy jakie w niej zachodzą, są tu szanowane i wykorzystywane do osiągania nie tylko dużych plonów, ale także edukacji i próby zrozumienia tego, co nas otacza.



Tymczasem wracając do ogólnych kulisów szesnastej wizyty w projekcie “Busem przez polskie ogrody” sezon 8 – 2025, zgodnie z tradycją, na początek kilka spraw ogólnych, tak abyś wiedział, gdzie tytułowy bus dojechał. A dojechał do miejscowości Budachów położonej w województwie lubuskim, co na mapie wygląda następująco:

Kolor czerwony to tradycyjnie miejsce skąd wyruszyłem, a ten pomarańczowy kwadrat z numerem 16, to właśnie lokalizacja szesnastego ogrodu, położonego w niewielkiej miejscowości wśród lubuskich lasów. Do pokonania miałem zatem dużą odległość, około 320 kilometrów w jedną stronę. Na mapie widać również:
- ciemno zielone kropki z numerami od 1 do 24, które obrazują wszystkie ogrody odwiedzone w sezonie 1 – 2018
- niebieskie kwadraty z numerami od 1 do 24, które obrazują wszystkie ogrody odwiedzone w sezonie 2 – 2019
- różowe kwadraty z numerami od 1 do 24, które obrazują wszystkie ogrody odwiedzone w sezonie 3 – 2020
- fioletowe kwadraty z numerami od 1 do 24, które obrazują wszystkie ogrody odwiedzone w sezonie 4 – 2021
- jasno zielone kwadraty z numerami od 1 do 24, które obrazują wszystkie ogrody odwiedzone w sezonie 5 – 2022
- jasno niebieskie kwadraty z numerami od 1 do 24, które obrazują wszystkie ogrody odwiedzone w sezonie 6 – 2023
- czarne kwadraty z numerami od 1 do 24, które obrazują wszystkie ogrody odwiedzone w sezonie 6 – 2024
Natomiast będąc już w sezonie 2025, jak pewnie wiesz z wcześniejszych relacji, przyszedł czas na nową planszę, na której widoczne są wszystkie kolejne wizyty. Na ten moment szesnaście, z szesnastu ogrodów:

Wracając do wizyty, jak zawsze, bus zaparkował przy ogrodzie, a ja miałem możliwość przywitać się z niezwykle sympatycznymi Gospodarzami tego miejsca – Kamilą i Bogdanem.

Z drugiej strony trudno sobie wyobrazić, aby ten charakterystyczny bus do ogrodu nie wjechał, a ja nie przywitał się z gospodarzami. Tym bardziej, że mam szczęście trafiać na wyjątkowo miłe, otwarte i gościnne osoby, co miało miejsce również w tym przypadku.
.
Lokalizacja i układ ogrodu
Anielskie ogrody to kilkudziesięcio-arowy teren, stare gospodarstwo, w którym poza domem Gospodarzy, znajdują się liczne zabudowania, pięknie zaadoptowane do ekologicznej działalności.



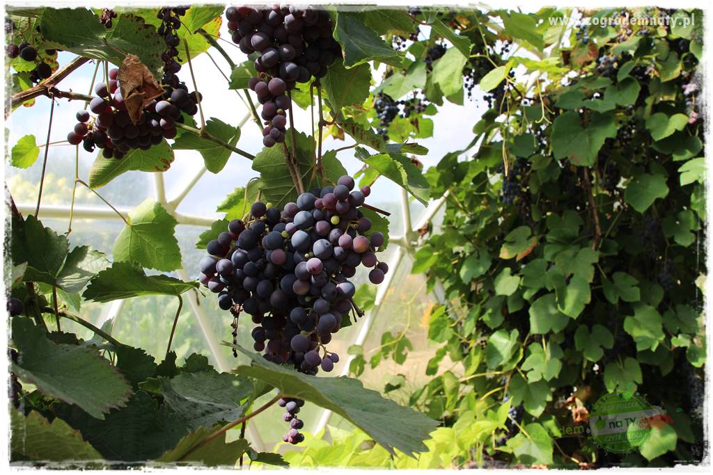
Natomiast cały pozostały obszar to tak naprawdę jeden wielki warzywnik, w którym królują zarówno podwyższone grządki,




jak i specjalne uprawowe kopuły.







Pomiędzy to wszystko wkomponowane są wąskie, trawnikowe alejki,




oraz wybiegi dla domowego ptactwa, które w takim miejscu dosłownie może czuć się jak w anielskich ogrodach.



.
Najważniejsze elementy ogrodu
Od pewnego czasu moje ogrodowe relacje staram się upraszczać tzn. zdecydowanie mniej w nich pisać. Tak będzie i tutaj. Powyżej skupiłem się na ogólnym przedstawieniu, z którego myślę, że coś już wstępnie udało Ci się wyciągnąć. Natomiast teraz dotarliśmy do właściwego miejsca tego postu, w którym w wersji filmowej, dokładnie możesz Anielskie ogrody obejrzeć:
Natomiast jako uzupełnienie powyższego zapraszam Cię do wyjątkowej galerii zdjęć, na których możesz to wszystko zobaczyć jeszcze dokładniej, z uwzględnieniem najdrobniejszych szczegółów. Zapraszam:











Więcej unikatowych zdjęć i inspiracji znajdziesz poniżej, na końcu tego postu.
.
Kącik Partnera
Jak w każdym poście dotyczącym wizyt w ogrodach, także i tu wspomnę o bardzo ważnej dla projektu “Busem przez polskie ogrody” sprawie. Jeśli czytałeś o jego założeniach wiesz pewnie, że odbywa się przy współudziale Partnerów, którzy obok tytułowego busa, stanowią główny element projektu.

I właściwie tylko dzięki temu możliwa jest jego realizacja. Tym bardziej, że od początku moim zamysłem było to, abym do ogrodów nie jechał z pustymi rękami i samym uśmiechem na ustach, ale również wziął coś, co temu kto mnie przyjmie, bardzo się przyda. I właśnie tym czymś jest „super paka” produktowa od Partnerów, którą zaraz zobaczysz. I co ważne, podobną otrzymasz, jeśli przyjadę do Twojego ogrodu w sezonie 2025. Zapraszam do zgłoszenia na adres, który znajdziesz w zakładce kontakt.
Paczka produktowa
Paczka to oczywiście pojęcie umowne, bo tak naprawdę, jak w każdym z odwiedzonych ogrodów, było to kilka paczek, a właściwie toreb z produktami, a dodatkowo trochę produktów kamiennych. Myślę, że to wszystko co przywiozłem w kwietniu przyda się i znajdzie zastosowanie w odwiedzonym ogrodzie, a tym samym będzie miłą pamiątką dla Gospodarzy.
Produktów, które pojechały ze mną busem było tak dużo, że nie sposób ich tu wszystkich wymienić. Stąd myślę, że najlepiej będzie, jak pokażę je na zdjęciach, zresztą podobnie jak robiłem to we wszystkich relacjach z poprzednich ogrodów:
- od marli Bros

- od marki Agrimpex

- od marki Himal

- od marki Ramp

- od marki Gnejsy.pl

- od marki Anielskie ogrody

- od marki Kor – Drew

- od marki Verasol

- od marki Polish Green

- od marki Taxus Arbor

- od marki Blumkowsky – gotowe żywopłoty

- od marki Kwazar

- od marki Bopon

- od marki Hunter – FX Luminaire

- od marki Green Mag

- od marki Decomat

- od marki Jagram

.
Co mnie zachwyciło w tym miejscu pt. Anielskie ogrody?
Przede wszystkim, jak w każdym odwiedzonym ogrodzie, niezwykle miłe przyjęcie oraz serdeczna atmosfera. To pozwala mi na fajną pracę i swobodne zbieranie materiałów zdjęciowych.

Po drugie niebywała konsekwencja w tworzeniu tego miejsca, która przejawia się w systematycznym rozbudowywaniu. I nie chodzi o rozbudowywanie i powiększanie powierzchni, ale systematyczne jej zagęszczanie i zagospodarowanie, tak aby całość była spójnym, wykorzystanym maksymalnie obszarem. Dla zobrazowania spójrz jak to wyglądało w roku 2009 i 2023.


Anielskie ogrody zachwycają także ogromną wiedzą Gospodarzy, którą czerpią z różnych opracowań w zakresie tego typu upraw, ale przede wszystkim nabywają ją ucząc się na własnych doświadczeniach. Podpatrują przyrodę, starają się w nią wpasować i działać w porozumieniu i symbiozie.
Jednak to, co najważniejsze to fakt, że wiedzą tą dzielą się, prowadząc kursy i Akademię Anielskich Ogrodów.
.
Co jest godne polecenia i przeniesienia do własnego ogrodu?
Jak wiesz, projekt „Busem przez polskie ogrody” ma nie tylko bawić, ale również inspirować i edukować, pokazując ciekawe wzorce, godne powielenia w innych ogrodach. Stąd każda wizyta w ogrodach projektu jest jednocześnie określoną dawką pomysłów, które warto powielać. Co więc warto wynieść z tego miejsca pt. Anielskie ogrody?
- Przede wszystkim przekonanie, że ogród można wykonać samemu. Samemu go zaplanować i zrealizować, a przede wszystkim utrzymać. Tak jak Gospodarze, którzy wszystko realizują własną pracą i konsekwencją.
- Po drugie warto tworzyć takie sielskie ogrody. Pięknie wpisują się w wiejskie, lokalne krajobrazy, przypominając dawne, minione czasy.
- Ale co najważniejsze, warto uprawiać rośliny w zgodzie z naturą. Dążyć do tego aby być samowystarczalnym, podpatrywać przyrodę i czerpać z tego, co oferuje.
.
Weź udział w projekcie!
Kończąc szesnastą relację z odwiedzonego w roku 2025 ogrodu, zapraszam Cię do udziału w projekcie. Możesz to zrobić na różne sposoby, a tym samym dobrze się bawić i skorzystać z licznych atrakcji tzn.:
- Zgłoś swój ogród do projektu. Jeśli Cię odwiedzę w roku 2025, otrzymasz zróżnicowany, atrakcyjny zestaw produktów od Partnerów, podobny jak widziałeś powyżej. Więcej informacji znajdziesz w opisie projektu oraz regulaminie.
- Czytaj posty z odwiedzanych ogrodów. W każdym z postów znajdziesz garść inspiracji, które możesz przenieść do własnego ogrodu.
- Śledź na bieżąco strony projektu. Dlatego, że i tam będą pojawiały się niespodzianki. W szczególności polecam stronę główną projektu, skąd przejdziesz do wszystkich ważnych podstron.
Tymczasem do zobaczenia w kolejnym ogrodzie, a na deser polecam galerię wyjątkowych zdjęć i inspiracji z tego ogrodu, z których dosłownie możesz czerpać garściami!






































- Jak zwalczyć mączliki? Czyli domowe sposoby na białe muszki - 4 listopada 2025
- Anielskie ogrody, czyli busem przez polskie ogrody SEZON 8 – OGRÓD 16 - 2 listopada 2025
- Hortensjowy raj, czyli busem przez polskie ogrody SEZON 8 – OGRÓD 15 - 28 października 2025
